Skip to content
  • 780.781.0292
  • Connect
    • Email
    • Facebook
    • LinkedIn
    • Instagram
Connect
Tracy Brandingen RE/MAX Real Estate  - Camrose Branch
  • Tracy Brandingen
  • My Office RE/MAX Real Estate - Camrose Branch
  • 780.781.0292
  • tbrandingen@gmail.com
Tracy Brandingen
Skip to content
  • Home
  • About
    • Testimonials
    • RE/MAX Hall of Fame
  • Listings
    • Featured Listings
    • Past Sales
  • Property Search
    • Camrose
      • Townhouses
      • Houses
      • Condos
      • Apartments
    • Camrose County
      • Rural
      • Houses
    • Beaver County
    • Wetaskiwin County
    • Daysland
    • Killam
    • Sedgewick
  • Resources
    • Buyer’s Guide
      • Home Finder
      • Mortgage Calculator
    • Seller’s Guide
      • Home Evaluation

Tracy Brandingen

Discover The Home You Need And The Lifestyle You Want!

Tracy Brandingen

Tracy Brandingen

Discover The Home You Need And The Lifestyle You Want!

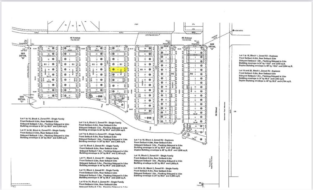
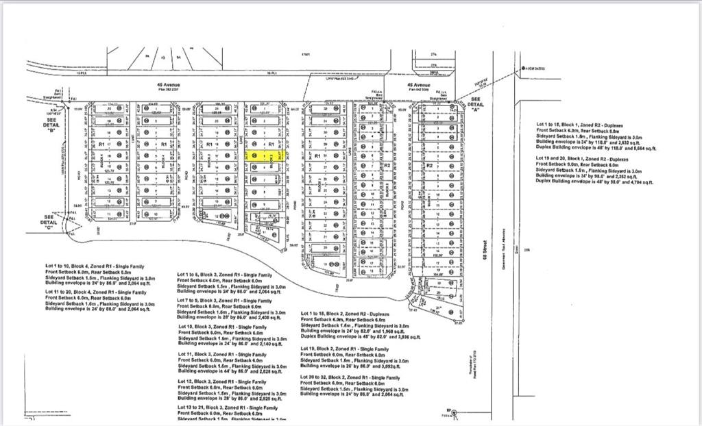
4426 70 Street

West Park – Camrose, AB

9
  • 4426 70 Street
  • $148,200
1 of 9
Courtesy of Tracy Brandingen of RE/MAX Real Estate (Edmonton) Ltd.
  • Details

  • List Price $148,200
  • MLS® # A2016919
  • Lot 4,284 sqft lot
  • Address 4426 70 Street, Camrose, AB, T4V 2P7

About

Welcome to West Park’s newest development….Lakeside!!! This development is situated close to shopping and dining. You can access the walking path along the lake and build your own home! Don’t miss out on an amazing opportunity in 2026.

Contact

Arrange Showing
Tracy Brandingen
  • A featured listing of
    Tracy Brandingen
  • My Office RE/MAX Real Estate - Camrose Branch
  • Mobile 780.781.0292
  • Email tbrandingen@gmail.com

Community

Mortgage calculator


 
re/max
 
Phone: 780-781-0292
Office:  780-672-7474
Email: tbrandingen@gmail.com

RE/MAX Real Estate - Camrose Branch
6006 48 Ave. Camrose, AB T4V 0K3

get Social
 

Brand and Creative Direction Credit to Lisa Borin Miller Design

I honour and acknowledge the traditional lands of Treaty 6 upon which Camrose is located. I respect and honour our Plains Cree neighbors of the Samson First Nation, the Ermineskin First Nation, the Montana First Nation, the Louis Bull First Nation, and the Metis who also make Camrose and area their home. As well as, the Metis peoples of Region 4 of the Metis nation of Alberta. I recognize that we are Treaty people and have a responsibility to understand our history and the Spirit and Intent of Treaty 6 so that we can honour the past, be aware of the present, and build a future on Peace, Friendship, and Understanding for a just and caring future.

RE/MAX Real Estate - Camrose Branch — 6006 48 Ave. Camrose, AB T4V 0K3 — (780) 672-7474
© 2026 Tracy Brandingen
Home / A2016919
Data is supplied by Pillar 9™ MLS® System. Pillar 9™ is the owner of the copyright in its MLS® System. Data is deemed reliable but is not guaranteed accurate by Pillar 9™. The trademarks MLS®, Multiple Listing Service® and the associated logos are owned by The Canadian Real Estate Association (CREA) and identify the quality of services provided by real estate professionals who are members of CREA. Used under license. Listing data last updated 2026-03-17T11:12:34Z.
Powered by Avenue
The growth engine for driven real estate professionals.